[『 茂名城事』]批前公示!茂南区站南片区将新增一所区属公办高中!

2026-04-16 17:33:58
0
2227

近日

茂名市自然资源局发布了一则

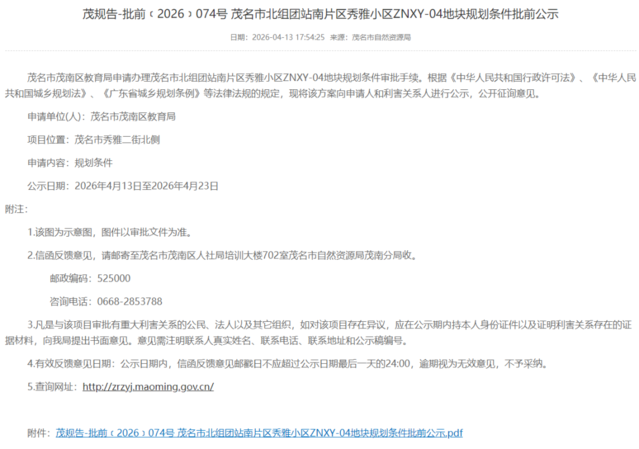
站南片区秀雅小区ZNXY-04地块规划条件

批前公示







点击查看大图


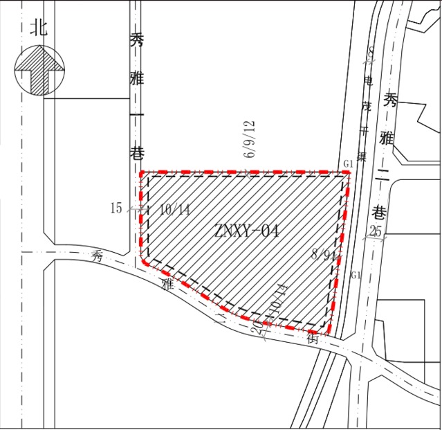
该地块位于

秀雅二街北侧

东信中心广场东侧、鸿福豪庭南侧

地块面积50170.25平方米(约75.26亩)

性质为中小学用地(高中)

申请单位是茂南区教育局

也就是一所区属公办高中



规划条件附图



区域位置图


来源:茂名市自然资源局官网




评论
扫码分享